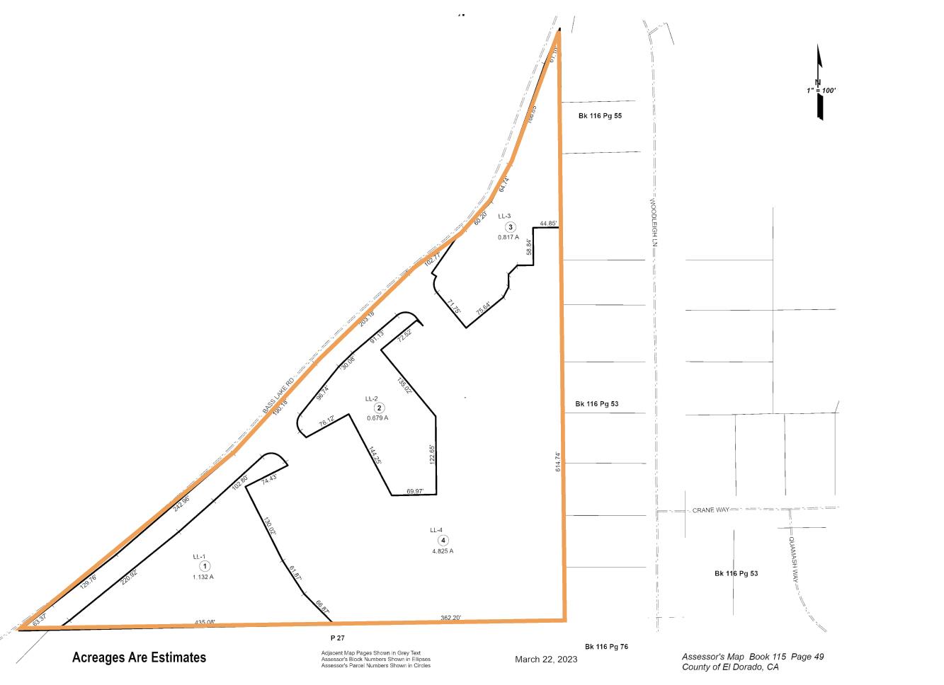
2701 Bass Lake RoadEl Dorado, CA 95762
Due to the health concerns created by Coronavirus we are offering personal 1-1 online video walkthough tours where possible.




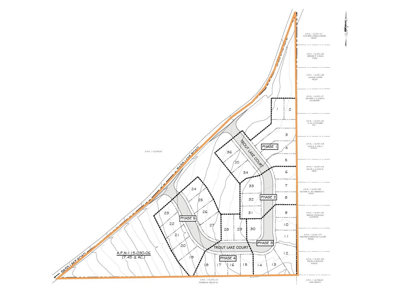
Bass Lake Estates located at 2701 Bass Lake Road, El Dorado, presents an exceptional opportunity to acquire 7.45 gross acres with fully approved entitlements for thirty-six (36) single-family home lots in El Dorado County, California. The lot sizes range from 3,373 to 5,850 square feet with a typical range of 3,500 to 4,500 square feet. The Property is located on the east side of Bass Lake Road, at the intersection of El Dorado Hills, Cameron Park, and the community of Rescue. The Property is approximately one mile northeast of Serrano Villages and the recently completed Sienna Ridge retail center, anchored by Safeway grocery store. The Bass Lake Road corridor is a robust center of activity for El Dorado. Highlights: * 7.45 gross acres in path of development. * Approved tentative map for 36 lots and large lot final map. * Schematic design for 72 rental units. * No infrastructure assessments. * No infrastructure CFDs. * Good candidate for SCIP financing. * Located near Serrano Country Club, Folsom Lake, luxury home neighborhoods, abundant retail amenities, and recreational activities. * Preliminary improvements plans: demo plan, grading plan, sewer, new road Trout Lake Court. The subsequent phased final maps would need to be timely filed prior to February 2026.
4 days ago | Listing updated with changes from the MLS® | |
4 days ago | Listing first seen on site |

All measurements and all calculations of the area are approximate. Information provided by Seller/Other sources, not verified by Broker. All interested persons should independently verify the accuracy of information. Provided properties may or may not be listed by the office/agent presenting the information. Data maintained by MetroList® may not reflect all real estate activity in the market. All real estate content on this site is subject to the Federal Fair Housing Act of 1968, as amended, which makes it illegal to advertise any preference, limitation or discrimination because of race, color, religion, sex, handicap, family status or national origin or an intention to make any such preference, limitation or discrimination. Terms of Use
Last checked 2025-10-13 11:22 PM PDT
Did you know? You can invite friends and family to your search. They can join your search, rate and discuss listings with you.